Pharmacy patients encouraged to pick up prescriptions before conditions deteriorate
Cape Hatteras National Seashore officials say three houses in the area have collapsed into the Atlantic Ocean this year.
A “season of shivers” awaits most of the country, the publication says. In North Carolina, expect cold, dry weather.
Farmers' Almanac says winter this year will likely bring near normal amounts of snow. Here's what it said about our region.
If you are dreaming of a white Christmas, here’s what weather Farmers’ Almanac says to expect over the upcoming holiday weekend.
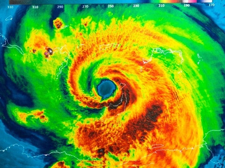
Tropical Storm Laura, which is expected to turn into a hurricane in the Gulf of Mexico by Tuesday night could impact NC, forecasters said.
The Old Farmer’s Almanac just released its long-range winter forecast. Are we in for a reprieve, or will this year stick to what it knows?
Sunday morning's earthquake that hit western North Carolina was the strongest to hit the state in more than 100 years.
The deadly tornado that took two lives and left at least 14 injured in Bertie County produced winds between 140 and 145 miles per hour.
Two people died in a tornado that ravaged a mobile home park in Bertie County, officials confirmed Tuesday.
Gov. Roy Cooper on Friday said North Carolina is in "double trouble" with the looming threats of the pandemic and Hurricane Isaias.
Weather researchers believe there will be more hurricanes in 2020 than during an average season on top of the coronavirus outbreak.
Tropical Storm Arthur will begin tracking east along the North Carolina coast Monday. Here's how it will impact the state.
On Saturday night, Tropical Storm Arthur became the first named storm of the 2020 Atlantic hurricane season. See how it will impact NC.
The odds are high that a major hurricane will land along the N.C. or Southeast coastline between June and November, forecasters say.
"I will admit I was a little scared when I saw my suburban float away."
Insurance companies retreated from some communities amid stronger storms, leaving a “last-resort” plan to fill the growing gap.
Wild horses and ponies in North Carolina, Maryland and Virginia rely on instincts to weather storms like Hurricane Florence.
Hurricane Florence bears down on North Carolina, triggering fears of animal deaths and catastrophic waste spills.